Save
Ask
Tour
Hide
Share
$399,000
953 Days On Site
9924 Vine StreetLakeside, CA92040
For Sale|Commercial Sale|Pending
0
Beds
0
Total Baths
County:
San Diego
Listed by Toni Donnet of Keller Williams Realty [email protected]
Due to the health concerns created by Coronavirus we are offering personal 1-1 online video walkthough tours where possible.



Save
Ask
Tour
Hide
Share
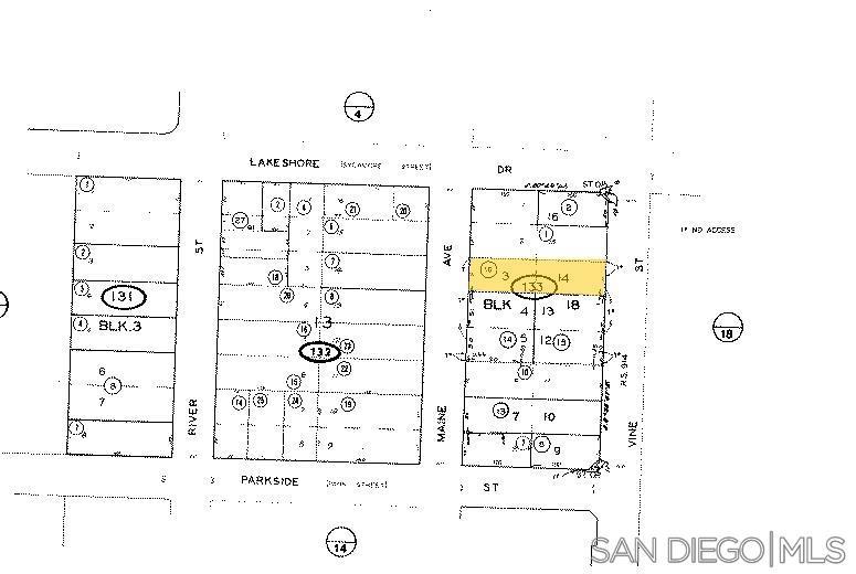
Utilities to the property to be connected. Fee Simple purchase With 50% down, Seller will carry. Lot goes from Maine Street to Vine, across the street from Lindo Lake. In the heart of Lakeside's downtown district.
Save
Ask
Tour
Hide
Share
Listing Snapshot
Price
$399,000
Days On Site
953 Days
Bedrooms
N/A
Inside Area (SqFt)
N/A
Total Baths
N/A
Full Baths
N/A
Partial Baths
N/A
Lot Size
0.23 Acres
Year Built
N/A
MLS® Number
230017444SD
Status
Pending
Property Tax
$4,500
HOA/Condo/Coop Fees
N/A
Sq Ft Source
N/A
Friends & Family
React
Comment
Invite
Recent Activity
| 5 months ago | Listing updated with changes from the MLS® | |
| 2 years ago | Status changed to Pending | |
| 3 years ago | Price changed to $399,000 | |
| 3 years ago | Listing first seen on site |
General Features
Acres
0.23
Additional Property Use
Unimproved
Save
Ask
Tour
Hide
Share
Community Features
MLS Area
92040 - Lakeside

This information is for your personal, non-commercial use and may not be used for any purpose other than to identify prospective properties you may be interested in purchasing. The display of MLS data is usually deemed reliable but is NOT guaranteed accurate by the MLS. Buyers are responsible for verifying the accuracy of all information and should investigate the data themselves or retain appropriate professionals. Information from sources other than the Listing Agent may have been included in the MLS data. Unless otherwise specified in writing, the Broker/Agent has not and will not verify any information obtained from other sources. The Broker/Agent providing the information contained herein may or may not have been the Listing and/or Selling Agent.
Neighborhood & Commute
Source: Walkscore
Save
Ask
Tour
Hide
Share


Did you know? You can invite friends and family to your search. They can join your search, rate and discuss listings with you.